Photo Gallery
Cerambycoidea of the NW Palaearctic region
Subfamily Parandrinae Blanchard, 1845
Parandrini Blanchard, 1845
Subfamily Prioninae Latreille, 1804
Mallodontini Thomson, 1860
Nothopleurus Lacordaire, 1860
- arabicus Buquet, 1843
Macrotomini Thomson, 1860
Rhaphipodini Lameere, 1912
Rhaphipodus Serville, 1832
- gahani Lameere, 1903
Rhaesus Motschulsky, 1838
- serricollis Motschulsky, 1838
Megopidini Gressitt, 1940
Aegosoma Serville, 1832
- sinica sinica White, 1853
- ornaticolle White, 1853
- scabricorne Scopoli, 1763
- sinica sinica White, 1853
Megopis Serville, 1832
- bowringi Gahan, 1894
- sulcipennis White, 1853
Spinimegopis Ohbayashi, 1963
- buckleyi Gahan, 1894
- delahayei Komiya & Drumont, 2007
- kachina Komiya & Drumont, 2007
- nepalensis Hayashi, 1979
- tibialis White, 1853
Ergatini Fairmaire, 1864
Ergates Serville, 1832
- faber Linnaeus, 1767
Callergates Lameere, 1906
- gaillardoti Chevrolat, 1854
- akbesianus Pic, 1900
Callipogonini Thomson, 1860
Callipogon Serville, 1832
- relictus Semenov, 1898
Acanthophorini Thomson, 1864
Tithoes Thomson, 1864
- confinis Castelnau, 1840
Anthracocentrus Quentin & Villiers, 1983
- arabicus Thomson, 1877
- beringei Kolbe, 1898
- rugiceps hardey Heyrovsky, 1959
Prionini Latreille, 1804
Opisognathus Thomson, 1860
- forficatus Fabricius, 1792
Lophosternus Guerin, 1844
Cyrtognathus Faldermann, 1835
- paradoxus Faldermann, 1833
- hydropicus Pascoe, 1857
- tippmanni Heyrovsky, 1950
Prionus Fabricius, 1775
- gahani Lameere, 1912
- insularis Ulstschulsky, 1858
- delavayi lorenci Drumont & Komiya, 2006
- komiyai Lorenc, 1999
- coriarius Linnaeus, 1758
- sterbai Heyrovsky, 1950
- corpulentus Bates, 1878
- elegans Demelt, 1972
- evae Demelt, 1972
- elliotti Gahan, 1906
- vartianorum Fuchs, 1956
- unilamellatus Pu, 1987
Mesoprionus Jakovlev, 1887
- abaii Holzschuh, 2007
- besicanus Fairmaire, 1855
- batelkai Slama, 1996
- sp. nova (?)
- tangerianus Slama, 1996
- lefebvrei Marseul, 1856
- asiaticus Falderman, 1837
- henkei Schaufuss, 1879
- zarudnyi Semenov, 1933
- persicus Redtenbacher, 1850
- angustatus Jakovlev, 1887
- petrovitzi Holzschuh, 1981
- consimilis Holzschuh, 1981
Psilotarsus Motschulsky, 1860
- lesnei Semenov, 1933
- turkestanicus Semenov, 1888
- brachypterus brachypterusGebler, 1830
- hemipterus Motschulsky, 1845
- aralensis Danilevsky, 2001
- pubiventris Semenov, 1900
- alpherakii Semenov, 1900
- hirticollis hirticollisMotschulsky, 1860
- nudicollis Danilevsky, 2001
- auliensis Danilevsky, 2001
- heydeni heydeniGanglbauer, 1888
- arkitensis Danilevsky, 2001
- talassicus Danilevsky, 2001
Macroprionus Semenov, 1900
- heros Semenov, 1900
Lobarthron Semenov, 1900
- balassogloi balassogloiJakovlev, 1885
- brevispinus Jakovlev, 1885
- brevis Semenov, 1887
- balassogloi balassogloiJakovlev, 1885
Polylobarthron Semenov, 1899
- margelanicus margelanicusThery, 1896
- plumicornis Pu F.-J., 1987
Pseudoprionus Pic, 1898
- bienerti bienertiHeyden, 1885
- bang-haasiPic, 1901
- pluschtschewskyi Jakovlev, 1887
- bienerti bienertiHeyden, 1885
Pogonarthron Semenov, 1899
- tschitscherini Semenov, 1899
- petrovi Danilevsky, 2004
- bedeli Semenov, 1899
- semenovianum Plavilstshikov, 1936
- semenowi Lameere, 1912
- minutum Pic, 1905
- altimontanus Kabakow & Dolin, 1996
Microarthron Pic, 1900
- komaroffi Dohrn, 1885
Prionoblemma Jakovlev, 1887
- przewalskyi Jakovlev, 1887
Polyarthron Serville, 1832
- pectinicornis pectinicornis Fabricius, 1792
- jolyi Pic, 1895
- fairmairei Pic, 1893
- desvauxi Fairmaire, 1868
- philbyi Villiers, 1968
- pectinicornis pectinicornis Fabricius, 1792
Miniprionus Danilevsky, 1999
- pavlovskii Semenov, 1935
Monocladum Pic, 1892
- aegyptiacum aegyptiacum Guerin, 1844
- arabicum Villiers, 1961
- granulipenne Holzschuh, 1993
- unipectinatum White, 1853
- iranicum Villiers, 1961
- aegyptiacum aegyptiacum Guerin, 1844
Cantharocnemini Lameere, 1912
Cantharocnemis Serville, 1832
- spondyloides Serville, 1832
Cantharoplatys Westwood, 1866
- strandi Plavilstshikov, 1933
Cantharoctenus Westwood, 1866
- filippovi Plavilstshikov, 1933
Meroscelisini Thomson, 1864
Tragosoma Serville, 1832
- depsarium Linnaeus, 1767
Anacoli Lameere, 1912
Sarmydus Pascoe, 1867
- subcoriaceus Hope, 1831
Casiphia Fairmaire, 1894
- thibeticola Fairmaire, 1894
Drumontiana Danilevsky, 2001
- lacordairei Semenov, 1927
| Species: Archandra caspia Menetries, 1832 | |
![]() |
![]() |
| MALE | FEMALE |
|
Distribution: SE Azerbaijan, NW Iran |
|
| Species: Neandra brunnea Fabricius, 1798 | |
![]() |
![]() |
| MALE | FEMALE |
|
Distribution: NE America, NE Europe (Germany) |
|
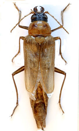
| Species: Nothopleurus arabicus Buquet, 1843 | |
![]() |
![]() |
| MALE | FEMALE |
|
Distribution: Arabia(?), Socotra Isl. |
|
| Species: Prinobius myardi myardi Mulsant, 1842 | |
![]() |
![]() |
| MALE | FEMALE |
|
Distribution: S and SE Europe, Turkey, Corsica Isl. |
|
| Species: Prinobius myardi atropos Chevrolat, 1854 | |
![]() |
![]() |
| MALE | FEMALE |
|
Distribution: NE and NW Africa, Asia minor |
|
| Species: Prinobius myardi proksi Slama, 1982 | |
![]() |
![]() |
| MALE | FEMALE |
|
Distribution: Creta Isl. |
|
| Species: Prinobius samai Drumont & Rejzek, 2008 | |
![]() |
|
| MALE // FEMALE | |
|
Distribution: E Iran |
| Species: Anomophysis inscripta Waterhouse, 1884 | |
![]() |
|
| MALE | |
|
Distribution: N India, SE Pakistan (?), C India (?) |
|
| Species: Anomophysis ellioti Waterhouse, 1884 | |
![]() |
![]() |
| MALE | FEMALE |
|
Distribution: SE Arabia(?), India, Sikkim, Laos |
|
| Species: Anomophysis plagiata Waterhouse, 1884 | |
![]() |
![]() |
| MALE | FEMALE |
|
Distribution: Afghanistan, Pakistan, India, SE Asia |
|
| Species: Macrotoma palmata Fabricius, 1792 | |
![]() |
![]() |
| MALE | FEMALE |
|
Distribution: Egypt, Yemen, Arabia, Africa |
|
| Species: Rhaphipodus gahani Lameere, 1903 | |
![]() |
|
| MALE | |
|
Distribution: NW India |
|
| Species: Rhaesus serricollis Motschulsky, 1838 | |
![]() |
![]() |
| MALE | FEMALE |
|
Distribution: SE Europe, W Asia |
|
| Species: Aegosoma sinica sinica White, 1853 | |
![]() |
![]() |
| MALE | FEMALE |
|
Distribution: SE China, SE Asia, Japan |
|
| Species: Aegosoma ornaticolle White, 1853 | |
![]() |
![]() |
| MALE | FEMALE |
|
Distribution: N India, Nepal, Tibet, China, Taiwan, SE Asia |
|
| Species: Aegosoma scabricorne Scopoli, 1763 | |
![]() |
![]() |
| MALE | FEMALE |
|
Distribution: C & S Europe, W Asia |
|
| Species: Megopis sulcipennis White, 1853 | |
![]() |
|
| MALE // FEMALE | |
|
Distribution: N Burma |
| Species: Spinimegopis buckleyi Gahan, 1894 | |
![]() |
|
| MALE // FEMALE | |
|
Distribution: NW India |
| Species: Spinimegopis delahayei Komiya & Drumont, 2007 | |
![]() |
|
| MALE // FEMALE | |
|
Distribution: Yunhan, Yuxi |
| Species: Spinimegopis kachina Komiya & Drumont 2007 | |
![]() |
|
| FEMALE | |
|
Distribution: NE Myanmar, Kachina |
|
| Species: Spinimegopis nepalensis Hayashi, 1979 | |
![]() |
![]() |
| MALE | FEMALE |
|
Distribution: E Nepal, Sikkim, Tibet(?) |
|
| Species: Spinimegopis tibialis White, 1853 | |
![]() |
![]() |
| MALE | FEMALE |
|
Distribution: N India, Nepal, Sikkim, Tibet |
|
| Species: Ergates faber Linnaeus, 1767 | |
![]() |
![]() |
| MALE | FEMALE |
|
Distribution: S & SE Europe, W Asia, N Africa |
|
| Species: Callergates gaillardoti Chevrolat, 1854 | |
![]() |
![]() |
| MALE | FEMALE |
|
Distribution: SE Turkey, W & N Syria |
|
| Species: Callergates akbesianus Pic, 1900 | |
![]() |
![]() |
| MALE | FEMALE |
|
Distribution: S Turkey (Akbes Mts.) |
|
| Species: Callipogon relictus Semenov, 1898 | |
![]() |
![]() |
| MALE | FEMALE |
|
Distribution: SE Sibiria, NE China, N Korea |
|
| Species: Tithoes confinis Castelnau, 1840 | |
![]() |
![]() |
| MALE | FEMALE |
|
Distribution: SW Arabia, C & E Africa |
|
| Species: Anthracocentrus arabicus Thomson, 1877 | |
![]() |
|
| MALE // FEMALE | |
|
Distribution: SW Arabia, Egypt, Sudan, Ethiopia, Sahara des. |
| Species: Anthracocentrus beringei Kolbe, 1898 | |
![]() |
|
| MALE | |
|
Distribution: Sudan, N Darfour |
|
| Species: Anthracocentrus rugiceps hardey Heyrovsky, 1959 | |
![]() |
|
| MALE // FEMALE | |
|
Distribution: S Iran |
| Species: Opisognathus forficatus Fabricius, 1792 | |
![]() |
![]() |
| MALE | FEMALE |
|
Distribution: N Morocco |
|
| Species: Lophosternus indicus Hope, 1831 | |
![]() |
![]() |
| MALE | FEMALE |
|
Distribution: N India, Nepal, Tibet, Bhutan |
|
| Species: Lophosternus socius Gahan, 1906 | |
![]() |
|
| MALE | |
|
Distribution: N India, Nepal, Tibet (?) |
|
| Species: Lophosternus zivetta Thomson, 1877 | |
![]() |
|
| MALE // FEMALE | |
|
Distribution: N India, Nepal, Tibet |
| Species: Lophosternus huegelii huegelii Redtenbacher, 1848 | |
![]() |
![]() |
| MALE | FEMALE |
|
Distribution: NW India, Tibet (?) |
|
| Species: Lophosternus huegelii falco Thomson, 1877 | |
![]() |
|
| MALE | |
|
Distribution: Bhutan, Sikkim, Tibet |
|
| Species: Lophosternus huegelii palpalis Gahan, 1906 | |
![]() |
|
| MALE | |
|
Distribution: Nepal, Tibet |
|
| Species: Cyrtognathus paradoxus Faldermann, 1833 | |
![]() |
![]() |
| MALE | FEMALE |
|
Distribution: NE China, Ussuri riv. |
|
| Species: Cyrtognathus hydropicus Pascoe, 1857 | |
![]() |
![]() |
| MALE | FEMALE |
|
Distribution: E China, Taiwan |
|
| Species: Cyrtognathus tippmanni Heyrovsky, 1950 | |
![]() |
![]() |
| MALE | FEMALE |
|
Distribution: N China |
|
| Species: Prionus gahani Lameere, 1912 | |
![]() |
![]() |
| MALE | FEMALE |
|
Distribution: NW China |
|
| Species: Prionus insularis tetanicus Pascoe, 1867 | |
![]() |
![]() |
| MALE | FEMALE |
|
Distribution: Korea, NE China, Russia (Ussuri r.), Japan (Tsushima Isl.) |
|
| Species: Prionus delavayi lorenci Fairmaire, 1887 | |
![]() |
|
| MALE | |
|
Distribution: W & C China |
|
| Species: Prionus komiyai Lorenc, 1999 | |
![]() |
|
| MALE | |
|
Distribution: Coast area of Syria, Turkey |
|
| Species: Prionus coriarius Linnaeus, 1758 | |
![]() |
![]() |
| MALE | FEMALE |
|
Distribution: Europe, N Africa, W Asia |
|
| Species: Prionus sterbai Heyrovsky, 1950 | |
![]() |
![]() |
| MALE | FEMALE |
|
Distribution: NE Iran |
|
| Species: Prionus corpulentus Bates, 1878 | |
![]() |
![]() |
| MALE | FEMALE |
|
Distribution: NE Pakistan |
|
| Species: Prionus elegans Demelt, 1972 | |
![]() |
|
| MALE // FEMALE | |
|
Distribution: N Pakistan |
| Species: Prionus evae Demelt, 1972 | |
![]() |
|
| MALE | |
|
Distribution: NW Pakistan, SWAT |
|
| Species: Prionus vartianorum Fuchs, 1956 | |
![]() |
![]() |
| MALE | MALE |
|
Distribution: Afghanistan |
|
| Species: Mesoprionus besicanus Fairmaire, 1855 | |
![]() |
![]() |
| MALE | FEMALE |
|
Distribution: Bulgaria, N.Greece, NW Turkey, Lesbos Is.(?), Cyprus Is.(?), Sinai Penins.(=err!) |
|
| Species: Mesoprionus batelkai Slama, 1996 | |
![]() |
![]() |
| MALE | FEMALE |
|
Distribution: Crete Is., S Greece, SW Turkey (?) |
|
| Species: sp. nova (?) | |
![]() |
![]() |
| MALE | FEMALE |
|
Distribution: NW Iran, E Turkey (?), N Iraq (?) |
|
| Species: Mesoprionus tangerianus Slama, 1996 | |
![]() |
|
| MALE | |
|
Distribution: Marocco |
|
| Species: Mesoprionus lefebvrei Marseul, 1856 | |
![]() |
![]() |
| MALE | FEMALE |
|
Distribution: Asia min. |
|
| Species: Mesoprionus asiaticus Falderman, 1837 | |
![]() |
|
| MALE | |
|
Distribution: SE Russia, Transcaucasus, Kyrgyzstan (=err!) |
|
| Species: Mesoprionus henkei Schaufuss, 1879 | |
![]() |
![]() |
| MALE | FEMALE |
|
Distribution: N Iraq |
|
| Species: Mesoprionus zarudnyi Semenov, 1933 | |
![]() |
|
| MALE | |
|
Distribution: Tajikistan, NE Afghanistan (?) |
|
| Species: Mesoprionus persicus Redtenbacher, 1850 | |
![]() |
![]() |
| MALE | FEMALE |
|
Distribution: Iran |
|
| Species: Prionoxis angustatus Jakovlev, 1887 | |
![]() |
![]() |
| MALE | FEMALE |
|
Distribution: C Asia (Transcaspiens des.) |
|
| Species: Mesoprionus petrovitzi Holzschuh, 1981 | |
![]() |
![]() |
| MALE | FEMALE |
|
Distribution: SE Iran |
|
| Species: Psilotarsus lesnei Semenov, 1933 | |
![]() |
|
| MALE | |
|
Distribution: Iran, Harmadan prov. |
|
| Species: Psilotarsus turkestanicus Semenov, 1888 | ||
![]() |
||
| MALE // FEMALE | ||
|
Distribution: E Uzbekistan |
||
| Species: Psilotarsus brachypterus brachypterus Gebler, 1830 | |
![]() |
![]() |
| MALE | FEMALE |
|
Distribution: E Kazakhstan |
|
| Species: Psilotarsus brachypterus hemipterus Motschulsky, 1845 | |
![]() |
![]() |
| MALE | FEMALE |
|
Distribution: N Kazakhstan |
|
| Species: Psilotarsus brachypterus aralensis Danilevsky, 2001 | |
![]() |
![]() |
| MALE | FEMALE |
|
Distribution: C Asia (Aral sea area) |
|
| Species: Psilotarsus brachypterus pubiventris Semenov, 1900 | |
![]() |
![]() |
| MALE | FEMALE |
|
Distribution: E Kazakhstan |
|
| Species: Psilotarsus brachypterus alpherakii Semenov, 1900 | |
![]() |
|
| FEMALE | |
|
Distribution: NW China |
|
| Species: Psilotarsus hirticollis hirticollis Motschulsky, 1860 | |
![]() |
|
| MALE // FEMALE | |
|
Distribution: E Uzbekistan, SC Kazakhstan |
| Species: Psilotarsus hirticollis nudicollis Danilevsky, 2001 | |
![]() |
|
| MALE | |
|
Distribution: E Kazakhstan |
|
| Species: Psilotarsus hirticollis auliensis Danilevsky, 2001 | |
![]() |
|
| MALE | |
|
Distribution: SC Kazakhstan |
|
| Species: Psilotarsus heydeni heydeni Ganglbauer, 1888 | |
![]() |
![]() |
| MALE | FEMALE |
|
Distribution: Uzbekistan, Kirgizia |
|
| Species: Psilotarsus arkitensis Danilevsky, 2001 | |
![]() |
|
| MALE | |
|
Distribution: Kirgizia |
|
| Species: Psilotarsus talassicus Danilevsky, 2001 | |
![]() |
|
| MALE | |
|
Distribution: Kirgizia |
|
| Species: Macroprionus heros Semenov, 1900 | |
![]() |
|
| MALE | |
|
Distribution: W China |
|
| Species: Lobarthron balassogloi balassogloi Jakovlev, 1885 | |
![]() |
|
| MALE // FEMALE | |
|
Distribution: E Uzbekistan |
| Species: Lobarthron balassogloi brevispinus Jakovlev, 1885 | |
![]() |
|
| MALE // FEMALE | |
|
Distribution: SE Kazakhstan |
| Species: Lobarthron balassogloi brevis Semenov, 1887 | |
![]() |
|
| MALE // FEMALE | |
|
Distribution: Uzbekistan (?) |
| Species: Polylobarthron margelanicus margelanicus Thery, 1896 | |
![]() |
|
| MALE // FEMALE | |
|
Distribution: E Uzbekistan |
| Species: Polylobarthron margelanicus unionis Pic, 1898 | |
![]() |
|
| MALE // FEMALE | |
|
Distribution: Uzbekistan (?) |
| Species: Polylobarthron margelanicus semirufus Pic, 1900 | |
![]() |
|
| MALE // FEMALE | |
|
Distribution: E Uzbekistan |
| Species: Polylobarthron plumicornis Pu F.-J., 1987 | |
![]() |
|
| MALE | |
|
Distribution: Tibet |
|
| Species: Pseudoprionus bienerti bienerti Heyden, 1885 | |
![]() |
|
| MALE // FEMALE | |
|
Distribution: S Turkmenistan, N Iran |
| Species: Pseudoprionus bienerti bang-haasi Pic, 1901 | |
![]() |
|
| MALE // FEMALE | |
|
Distribution: S Turkmenistan, N Iran |
| Species: Pseudoprionus bienerti pluschtschewskyi Jakovlev, 1887 | |
![]() |
|
| MALE // FEMALE | |
|
Distribution: S Turkmenistan, N Iran |
| Species: Pogonarthron tschitscherini Semenov, 1889 | |
![]() |
|
| MALE // MALE | |
|
Distribution: E Uzbekistan, SW Kirgizia |
| Species: Pogonarthron petrovi Danilevsky, 2004 | |
![]() |
|
| MALE // MALE | |
|
Distribution: Tajikistan |
| Species: Pogonarthron bedeli Semenov, 1899 | |
![]() |
|
| MALE // MALE | |
|
Distribution: N Tajikistan |
| Species: Pogonarthron semenovianum Plavilstshikov, 1936 | ||
![]() |
||
| MALE // MALE | ||
|
Distribution: SE Tajikistan |
||
| Species: Pogonarthron minutum Pic, 1905 | |
![]() |
|
| MALES OF RACE MINUTUM AND LOEFFLERI AND OBENBERGERI | |
|
Distribution: Iran |
| Species: Pogonarthron altimontanus Kabakov & Dolin, 1996 | ||
![]() |
||
| MALE // MALE | ||
|
Distribution: Afghanistan |
||
| Species: Microarthron komaroffi Dohrn, 1885 | |
![]() |
![]() |
| MALE | FEMALE |
|
Distribution: C Asia, Karakum and Kyzylkum des. |
|
| Species: Prionoblemma przewalskyi Jakovlev, 1887 | |
![]() |
|
| FEMALE | |
|
Distribution: C Asia (Takla Makan and Gobi des.) |
|
| Species: Polyarthron pectinicornis pectinicornis Fabricius, 1792 | |
![]() |
|
| MALES OF RACE FAURE-BIGUETI AND GAILLARDI // FEMALE OF RACE PECTINICORNIS | |
|
Distribution: Senagal to Tchad Lake and Ennedi |
| Species: Polyarthron pectinicornis jolyi Pic, 1895 | |
![]() |
|
| MALES OF RACE JOLYI AND SAHARENSIS AND LOTHEY | |
|
Distribution: SE Marocco to Alger |
| Species: Polyarthron pectinicornis fairmairei Pic, 1893 | |
![]() ![]() |
![]() |
| MALES OF RACE FAIRMAIREI AND CHATANAYI | FEMALE OF RACE FAIRMAIREI |
|
Distribution: NW Alger to CE Niger |
|
| Species: Polyarthron pectinicornis desvauxi Fairmaire, 1868 | |
![]() |
|
| MALES OF RACE MOISSONI AND DESVAUXI | |
|
Distribution: N Sahara |
| Species: Miniprionus pavlovskii Semenov, 1935 | |
![]() |
![]() |
| MALE | MALE |
|
Distribution: SE Tajikistan, N Afghanistan (?) |
|
| Species: Monocladum aegyptiacum aegyptiacum Guerin, 1844 | |
![]() |
|
| MALE | |
|
Distribution: NE Africa, NW Arabia, SW Israel |
|
| Species: Monocladum aegyptiacum arabicum Villiers, 1961 | |
![]() |
![]() |
| MALE | MALE |
|
Distribution: Yemen, Saudi Arabia, Israel (?) |
|
| Species: Monocladum aegyptiacum granulipenne Holzschuh, 1993 | |
![]() |
|
| MALE | |
|
Distribution: Yemen, Saudi Arabia |
|
| Species: Monocladum unipectinatum White, 1853 | |
![]() |
|
| MALE | |
|
Distribution: NE Egypt |
|
| Species: Monocladum iranicum Villiers, 1961 | |
![]() |
|
| MALE // FEMALE | |
|
Distribution: Iran |
| Species: Cantharocnemis spondyloides Serville, 1832 | |
![]() |
![]() |
| MALE | FEMALE |
|
Distribution: E Africa, Saudi Arabia, Yemen, Socotra Is. |
|
| Species: Cantharoplatys strandi Plavilstshikov, 1933 | |
![]() |
|
| MALE | |
|
Distribution: Yemen |
|
| Species: Tragosoma depsarium Linnaeus, 1767 | |
![]() |
![]() |
| MALE | FEMALE |
|
Distribution: Europe, N America, N Asia |
|
| Species: Sarmydus subcoriaceus Hope, 1831 | |
![]() |
|
| MALE | |
|
Distribution: Nepal, Tibet |
|
| Species: Casiphia thibeticola Fairmaire, 1894 | |
![]() |
|
| FEMALE | |
|
Distribution: W China |
|































































































































































